Размер:
AAA
Цвет: CCC
Изображения Вкл.Выкл.
Обычная версия сайта

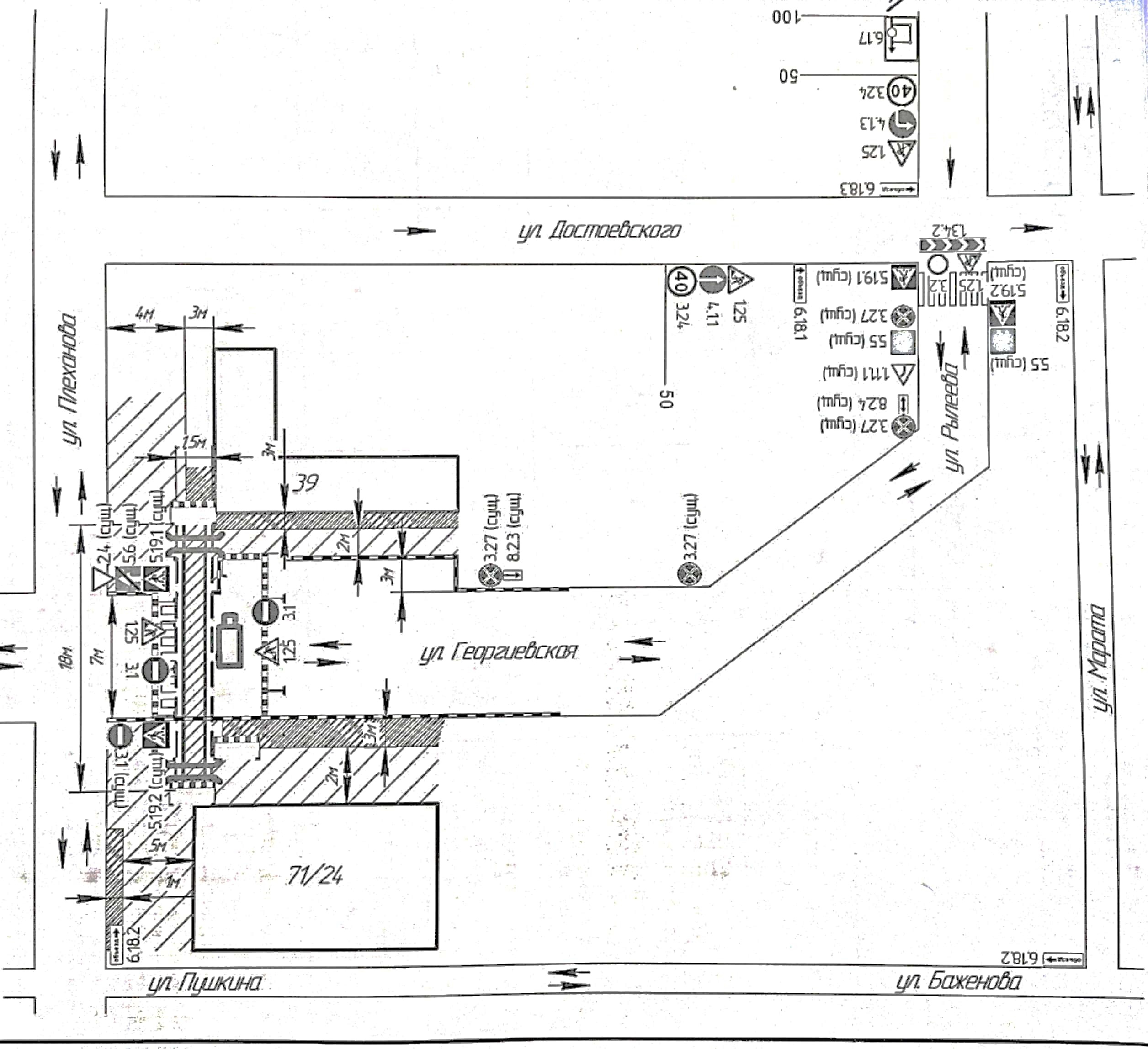
Ограничение движения по ул. Георгиевская

Уважаемые калужане и гости города!

В связи с проведением ремонтных работ МУП «Калугатеплосеть» в период с 20-00 22.09.23 до 08-00 23.09.23 будет ограничено движение всех видов транспорта по ул. Георгиевская в районе д. 39

Будьте внимательны и заранее выбирайте места парковки.

Приносим извинения за доставленные неудобства.


Размещено 18 сентября 2023 в 15:36
Количество показов: 643

Служба по контракту